
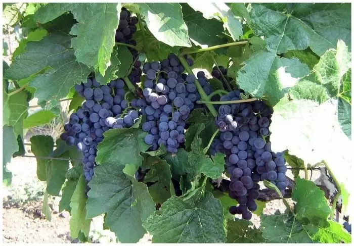
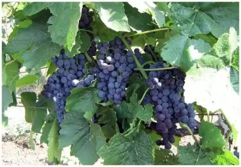
Виноград «Венус» — это выдающийся сорт из США, созданный американскими селекционерами. С его невосприимчивыми к морозам синими ягодами, идеальными для свежего потребления и переработки, он стал настоящей находкой для садоводов. Давайте рассмотрим его особенности, преимущества и подробности выращивания.
Происхождение и особенности сорта
Разработанный в Арканзасе, сорт «Венус» является результатом скрещивания сорта Альден и гибрида NY 46000. Это ведет к тому, что Венус отличается выдающейся морозостойкостью (до -26°C), что позволяет его успешно выращивать в различных климатических условиях, включая регионы с холодными зимами.
Характеристики и адаптационные преимущества
Венус — это универсальный сорт, который отлично подходит для различных способов использования. Его сладкие бессемянные ягоды (2-3 г) не только вкусные, но и прекрасно подходят для соков, вин, компотов, а также для получения качественного изюма. Примечательным является и его ранний срок созревания — около 120 дней, что позволяет получать урожай даже в регионах с коротким летом.
- Срок созревания: ранний, что обеспечивает урожай до осенних заморозков.
- Морозостойкость: до -26°C, что упрощает зимний уход.
- Бессемянные ягоды: удобны для потребления и переработки.
- Сила роста: потребует регулярной обрезки и контроля за развитием.
Выращивание и уход
Уход за виноградом «Венус» требует внимательного отношения к его агротехнике. Рекомендуется осуществлять посадку на хорошо освещенных участках с достаточным пространством между растениями (2-2.5 м). Важность правильной формирования кустов нельзя переоценить: без регулярной обрезки растение может стать слишком густым, что повлияет на качество ягод.
Профилактика болезней, особенно милдью, является непростительной. Рекомендуется применять фунгициды в начале вегетации и после цветения. Кроме того, используются сетки для защиты от ос и птиц, так как тонкая кожица ягод привлекает вредителей.
Подводя итог, Виноград Венус — это универсальный и надежный сорт, отвечающий потребностям как любителей, так и профессионалов. Его морозостойкость, раннее созревание и вкус делают его отличным выбором для садоводов в различных регионах.






























